خريطة تُبيّن حركة إعصار "مليسيا" والدول المهددة بتأثيره(صورة)

 

Telegram

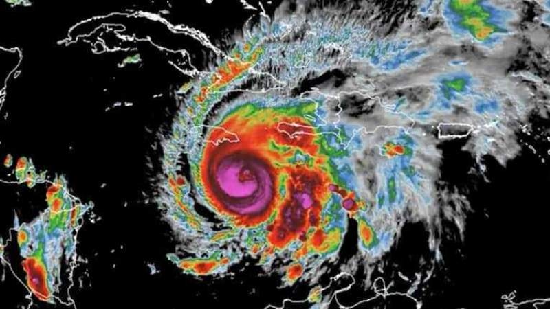
لا يزال ميليسا إعصارًا من الفئة الخامسة بسرعة رياح تبلغ 175 ميلًا في الساعة حتى الساعة 11 مساءً بتوقيت شرق الولايات المتحدة، وفقًا للمركز الوطني للأعاصير. ومع ذلك، انخفض الضغط المركزي الأدنى للعاصفة بشكل طفيف، مما يشير إلى احتمال تكثيفه في الساعات القادمة. بشكل عام، كلما انخفض الضغط، زادت قوة العاصفة .

 
بدأ الإعصار أخيرًا اتجاهه شمالًا، متحركًا من الشمال الشرقي بسرعة 2 ميل في الساعة بعد أن زحف غربًا معظم اليوم .
 
لا يزال من المرجح أن تكون ميليسا إعصارًا عنيفًا من الفئة الخامسة عند وصولها إلى اليابسة في وقت متأخر من صباح الثلاثاء، على الرغم من إمكانية حدوث تقلبات طفيفة في سرعة رياحها القصوى حتى تلك النقطة .
 
بعد جامايكا، لا يزال من المتوقع أن تضرب ميليسا كوبا كإعصار كبير في وقت متأخر من ليلة الثلاثاء أو في وقت مبكر من صباح الأربعاء. ومن هناك، ستؤثر على أجزاء من جزر البهاما والمناطق المحيطة بها .
 
من المتوقع أن يتحرك مركز إعصار ميليسا قرب جامايكا أو فوقها يوم الثلاثاء، ثم يعبر جنوب شرق كوبا صباح الأربعاء، ثم يعبر جنوب شرق أو وسط جزر البهاما في وقت لاحق من يوم الأربعاء، وفقًا لمركز الأعاصير .
 
ويظل تحذير من إعصار ساريًا في جنوب شرق ووسط جزر البهاما، بينما لا يزال تحذير من عاصفة استوائية ساريًا في جزر تركس وكايكوس. وتشير هذه التحذيرات إلى احتمال بدء هبوب رياح قوية خلال 36 ساعة

| لمتابعة أهم وأحدث الأخبار انضموا إلينا عبر قناتنا على واتساب (channel whatsapp) .اضغط هنا

تابعوا آخر الأخبار من icon news على WhatsApp تابعوا آخر الأخبار من icon news على Telegram

نسخ الرابط :

(يلفت موقع “iconnews ” انه غير مسؤول عن النص ومضمونه، وهو لا يعبّر إلا عن وجهة نظر كاتبه أو مصدره)

:شارك المقال على وسائل التواصل الإجتماعي

 

Telegram